更新日:2023.08.24~ 幼虫☆見つけたい! 2 ~
~ 幼虫☆見つけたい! 2 ~
みなさん、時々無性にイモムシやケムシを見つけたくなる時ってありますよね!
??? 無いですか・・・
でも、これを読めば見つけてみたくなるはず!?
まずは、植物を探しましょう。
幼虫の食べられる植物は、種によって決まっています。
よく知られているアゲハは
ミカンやカラスザンショウなどミカン科の植物を食べます。
クロアゲハ、カラスアゲハ、モンキアゲハなどもミカン科の植物を食べます。
成虫がアゲハとよく似ているキアゲハは
セリ科の植物を食べます。
パセリやニンジンもセリ科なのでその葉を食べます。
アオスジアゲハの幼虫は
クスノキ、タブノキなどの葉を食べます。
種によって特定の葉しか食べないので、その植物を探せば、目的の幼虫を見つけられる可能性が高くなります。
クワコ(ガの仲間、カイコの野生種)を見つけたいな~と思ったら
クワの木を探せば見つかるかも。
オオスカシバ(スズメガの仲間)を見つけたい!と思ったら
クチナシの木を探してみましょう。
逆に、ランダムにイモムシ・ケムシを見つけたい!と思ったら・・・
植物が幼虫に食べられている跡を探しましょう。
コマツヨイグサという植物の葉が食べられていました。
フンなど落ちていれば近くにいるはずです。
今回見つけたのはセスジスズメの幼虫でした!
実は虫食い跡の写真にも隠れて幼虫が写っています。
セスジスズメの食草は他に、ヤブカラシ(ブドウ科)、サトイモ(サトイモ科)、サツマイモ(ヒルガオ科)、ホウセンカ(ツリフネソウ科)、ミソハギ科、アカネ科、アカバナ科の植物などです。
いろいろな植物を食べる種です。
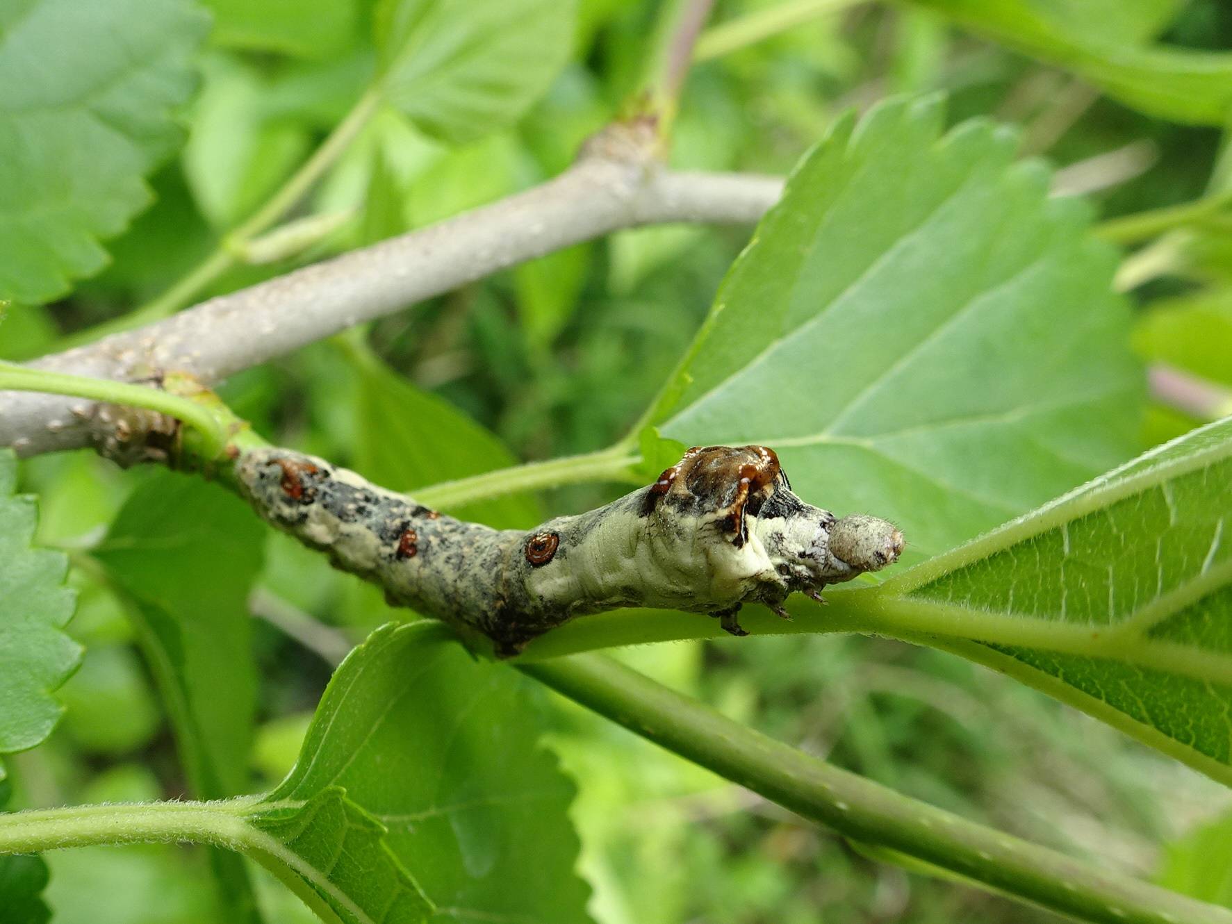
黒い体に黄色とオレンジの目玉模様が目立ちます。茶色い個体もいます。
スズメガの仲間の幼虫には、おしりに突起があります。
こちら脱皮した後の抜け殻ですが、その突起がはっきり残っています。
終齢幼虫は10cmくらいになりますが、小さい頃はおしりの突起をピコピコ動かしてカワイイですよ!
探してみてください。
鈴木