更新日:2022.04.30~ コミミズク ~
更新日:2022.04.30
~ コミミズク ~
以前紹介したコミミズク。 →こちら
ず~っと同じ場所で越冬していました。
春先に見てみると・・・
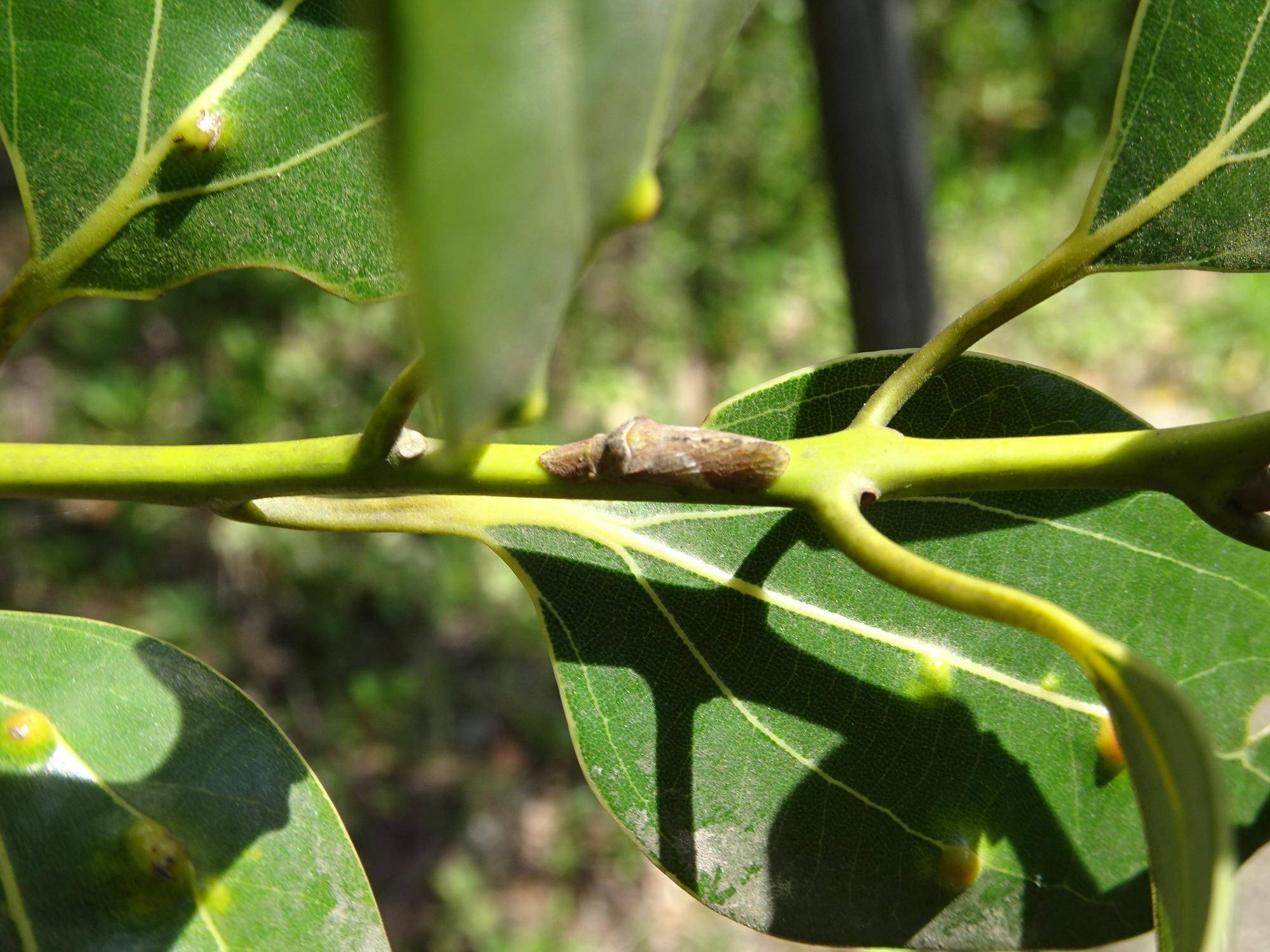
脱皮して成虫になっていました!
ちょっと失礼して、捕まえて観察してみました。
危険を察知すると、ピョンと飛び跳ねてしまうので、透明な容器に入れて観察します。
拡大すると、
こんな感じです。
へら状の大きな頭が特徴です。成虫になったので羽も生えていますね。
撮影中、跳ねてひっくり返ったので、おなか側の写真も撮ってみました。
撮影終了後、元いた枝にそ~っと戻すと、さっそくへばりついていました。
擬態している昆虫を見つけるのは大変ですが、探してみてください。
鈴木